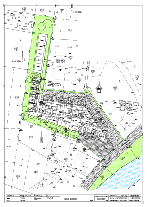
GENERATIONENZENTRUM EGGERSDORF
| Projekt | Generationszentrum Eggersdorf | |
| Projektbeschreibung | Errichtung einer weitläufigen Wohnhausanlage für betreutes Wohnen in der Steiermark Nähe Graz mit ca. 50 Wohneinheiten, Büros, Cafe, Hort etc. | |
| Services | Konstruktive Beratung in der Vorentwurfsphase gemeinsam mit Netzwerkpartnern | |
| Leistungszeitraum | 2008-2009 |
(Quelle: Arch. Mitterberger, Graz)
